- 衢城4座大桥将进行荷载试验 检测期间道路将封闭或半封闭 开化市民要注意管制细节
- 资讯类型:楼市要闻 / 发布时间:2010-07-16 / 浏览:3224 次 /
- 2010-07-16 更新 投诉举报
|
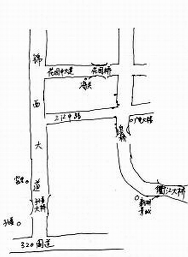
7月15日记者从网上了解到, 从16日开始至30日,我市将分别对四座大桥进行荷载试验检测(如示意图),届时将执行交通管制,对道路进行封闭或半封闭。开化广大市民特别是近期经常到衢州的市民可要注意管制细节了,以免影响自己的正常行程。
据了解,为了尽量减少对车辆通行的影响,桥梁荷载试验基本在晚间和早晨进行。记者获知,在7月16日、17日晚上7点半正式对花园桥(位于西区花园大道上)进行荷载试验,期间交警会设置路障和警示牌,对道路进行封闭,至次日上午6点恢复正常通车。这个时间段从高速西出口下来,前往市区斗潭、北门一带的车辆注意绕行。
7月18日、19日晚上7点半开始,对衢江大桥进行试验,整条桥面也是全封闭的。大桥两端都有交警把守,设立指示牌,对车辆进行引导,也希望司机师傅能提前绕道,改走西安门大桥或者双港大桥。次日早上6点,衢江大桥恢复通车。
7月20日、21日晚上7点半,对白云桥(西区白云大道上)试验,同样是全封闭,次日6点恢复正常。
7月29日、30日晚上7点半,将对孙姜桥(西侧)进行试验,次日上午6点恢复通车。这条大桥的道路是半幅封闭的,“就是车道减少了一半,来、往两个方向的车子都能过,中间我们放置了反光的锥形筒间隔。”柯城交警大队的副大队长金明提醒司机,由于是半幅通车,车道窄,过往车辆要减速慢行,听从现场交警的指挥。
来源: 开化新闻网 作者: 胡萍 编辑: 颜苗娟

热点关注
免责声明:本站所刊载的所有的房源信息、活动信息、资料及图片均由网站用户提供,其真实性、合法性由信息发布人负责,本网站不声明或保证其内容之正确性或可靠性。所有信息请与经纪公司、房产公司、家装公司、业主个人等确认为准!